
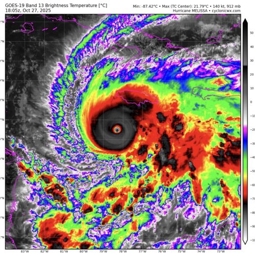
Američki Nacionalni centar za uragane upozorava da je riječ o ekstremno opasnom sistemu čije sporo kretanje povećava rizik od razarajućih poplava i klizišta. Procjene meteorologa ukazuju da bi u naredna četiri dana na Jamajci moglo pasti i do jedan metar kiše, što bi dovelo do katastrofalnih posljedica po infrastrukturu i stanovništvo.
Najjači uragan u historiji
Premijer Endru Holnes naredio je hitnu evakuaciju pojedinih naseljenih područja, naročito u glavnom gradu Kingstonu i u nizijama.
-Pripremite se, ostanite u domovima i poštujte naloge o evakuaciji. Prebrodićemo ovo i izgradićemo jaču Jamajku – rekao je Holnes.
Pogledajte ovu objavu na Instagramu.
OSTATAK TEKSTA PROČITAJTE OVDJE
BONUS VIDEO:
hypebih.ba/hypetv.rs/A.H.