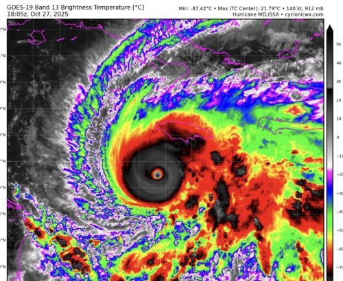
Najjači uragan u historiji

Najjači uragan u historiji: Naređena masovna evakuacija

Američki Nacionalni centar za uragane upozorava da je riječ o ekstremno opasnom sistemu čije sporo kretanje povećava rizik od razarajućih…

- Advertisement -
Ad image
- Advertisement -
Ad image